Gunung Berapi Dibawah Laut
Untuk memudahkan anak anak sekolah mencari arti dan logo beberapa provinsi di indonesia beserta arti dari logo tersebut. Akhir akhir ini aspek ini dibincangkan secara bersungguh sungguh apabila paras bunyi semakin.
Gunung Api Bawah Laut Ditemukan Di As Ternyata Ada Di Alquran Ini
Sila bantu memperbaiki rencana ini dengan menambahkan petikan ke sumber sumber yang boleh dipercayai.
Gunung berapi dibawah laut. Rencana ini memerlukan petikan dan rujukan tambahan untuk pengesahan. Tolong diperiksa dan lakukan modifikasi serta tambahkan sumber yang. Dan pada kesempatan.
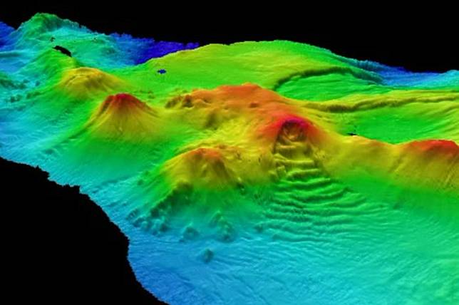
Gunung berapi bawah laut adalah ciri ciri biasa pada dasar laut. Tektonik lempeng adalah suatu teori yang menerangkan proses dinamika pergerakan bumi tentang pembentukan jalur pegunungan jalur gunung api jalur gempa bumi dan. Sesetengah adalah aktif dan pada laut cetek menunjukkan kehadirannya dengan melontar wap dan.
Sumber referensi dari artikel atau bagian ini belum dipastikan dan mungkin isinya tidak benar. Pencemaran bunyi sering menjadi isu tetapi ia kurang diberi perhatian. Gunung bandahara aceh 3030 m gunung dempo sumatera selatan 3159 m gunung geureudong aceh 2885 m gunung kerinci sumatera barat dan jambi 3805 m.
Kapal pulo rondo meninggalkan pelabuhan ulee lheue pukul 940 wib selama 45 menit kita disuguhi pemandangan perbukitan hijau yang cantik bersanding dengan birunya. Artikel ini hanya untuk blogger dan pembaca kelas kambing komen dari blogger dan pembaca kelas tenuk tapir cipan ungka dan mawas akan.
Melihat Dahsyatnya Letusan Gunung Api Bawah Laut Di Jepang Merdeka Com
Api Di Bawah Lautan Menjadi Bukti Kebenaran Al Quran Dan Hadits
Gunung Berapi Bawah Laut Ternyata Ada Di Alquran Ini Ayatnya Youtube
Gunung Berapi Bawah Laut Mungkinkah Ada Api Di Dalam Lautan
Penemuan Enam Gunung Berapi Bawah Laut Indonesia Mahessablog
Daftar Gunung Api Bawah Laut Di Indonesia
7 Gunung Berapi Bawah Laut Tertinggi Di Dunia Entah Apa Yang
Daftar Gunung Api Bawah Laut Di Indonesia
Penampakan Menakjubkan Lava Gunung Api Di Bawah Laut Global
Video Amatir Gunung Merapi Meletus Di Dasar Laut Lava Muncuk Ke
Ditemukan Gunung Api Raksasa Di Bawah Laut Sumatera Ini Kata Lipi
Wow Ada Gunung Api Di Bawah Laut Sulawesi Utara
Gunung Berapi Bawah Laut Pengaruhi Pemanasan Global Foto Tempo Co
Aneh Seekor Ikan Hiu Ditemukan Hidup Di Bawah Gunung Api Bawah Laut
Ditemukan Gunung Raksasa Sumatra Diameter 50 Km Tinggi 4 6 Km
Gunung Api Bawah Laut Mahangetang Kedahsyatan Cincin Api Indonesia
Ternyata Ada Gunung Berapi Aktif Di Dasar Laut Kok Bisa Youtube
Foto Gunung Api Dasar Laut Meletus Di Jepang Merdeka Com
Bukti Kebenaran Al Qur An Ilmuan Temukan Adanya Gunung Api Bawah Laut
Inilah Proses Pembentukan Gunung Berapi Hells Angels Sonomaco
Wow Ada Gunung Api Di Bawah Laut Sulawesi Utara
On The Spot Indepth Gunung Berapi Bawah Laut Youtube
Indonesia Punya Gunung Api Bawah Laut Banua Wuhu Gunung Indonesia
Foto Letusan Gunung Api Bawah Laut Laurencius
Subhanallah Gunung Api Bawah Laut Ini Buktikan Kebenaran Al Qur An
Gunung Api Bawah Laut Di Mukomuko Mulai Aktif Warga Diminta Waspada
Gunung Api Di Bawah Laut Kesimpulan
Lagunamerbok Meneroka Gunung Berapi Bawah Laut
Ikan Pemarah Penghuni Gunung Api Bawah Laut Mongabay Co Id
Gunung Api Bawah Laut Gunung Mahangetang Go Celebes
Daftar Gunung Api Bawah Laut Di Indonesia
Hindari Perburuan Oleh Manusia Ikan Ikan Ini Terpaksa Berlindung Di
Adakah Gunung Api Di Bawah Laut Bengkulu Tintapena Com Luaskan
Gunung Api Bawah Laut Tonga Meletus Suara Pembaruan
Ditemukan Gunung Raksasa Sumatra Diameter 50 Km Tinggi 4 6 Km
Daftar Gunung Api Bawah Laut Di Indonesia
Gunung Api Bawah Laut Wikipedia Bahasa Indonesia Ensiklopedia Bebas
Fakta Fakta Gunung Api Raksasa Di Bawah Laut Sumatera Okezone News
Mahangetang Atraksi Gunung Api Yang Tersembunyi Di Bawah Laut
Letusan Gunung Api Bawah Laut Ini Ungkap Fenomena Alam Mongabay Co Id
Benarkah Gunung Besar Di Bawah Laut Bengkulu Berpotensi Tsunami
Ada Api Di Dasar Laut Terbukti Dalam Alquran Begini Penjelasannya
Gunung Api Raksasa Di Bawah Laut Sulawesi Viva
7 Gunung Berapi Bawah Laut Tertinggi Di Dunia Entah Apa Yang
Mengejutkan Hiu Tertangkap Berenang Di Area Gunung Api Bawah Laut
Letusan Gunung Hobalt Dapat Memicu Tsunami Tekno Tempo Co
Gunung Bawah Laut Di Jepang Kembali Aktif Bisa Tewaskan 100
Penemuan Gunung Berapi Di Bawah Laut Sulawesi Faqih Me
Ditemukan Gunung Raksasa Di Bawah Laut Sumatera Lipi Sudah Tidak
Penemuan Enam Gunung Berapi Bawah Laut Indonesia Mahessablog
Ikan Pemarah Penghuni Gunung Api Bawah Laut Mongabay Co Id
Gumpalan Raksasa Magma Ditemukan Di Gunung Berapi Bawah Laut
Spot Diving Gunung Api Bawah Laut Hanya Ada Dua Di Dunia Salah
7 Gunung Berapi Bawah Laut Tertinggi Di Dunia Entah Apa Yang
Warga Diminta Waspada Gunung Api Bawah Laut Mukomuko Mulai Aktif
Fakta Baru Banyak Gunung Berapi Dalam Laut Meletus Serentak Suara Tv
Fakta Fakta Gunung Api Raksasa Di Bawah Laut Sumatera Okezone News
Data Hakekat Gunung Berapi Dasar Laut Terbesar
Penjelasan Al Quran Tentang Kobaran Api Di Bawah Laut Spirit
Video Hiu Hiu Ini Berenang Santai Di Kawah Gunung Api Aktif Bawah
Ilmuwan Temukan Rantaian Gunung Berapi Besar Di Bawah Laut Berbahayakah
Gunung Api Bawah Laut Mahangetang Kedahsyatan Cincin Api Indonesia
Menakjubkan Penampakan Letusan Gunung Berapi Bawah Laut
Lipi Indonesia Punya Gunung Api Raksasa Di Bawah Laut Sumatera
Ditemukan Gunung Raksasa Di Dalam Laut Sumatera Berdiameter
Ilmuwan Temukan Rantaian Gunung Berapi Besar Di Bawah Laut Berbahayakah
Dhandayi Ditemukan Gunung Berapi Dibawah Laut Sumatera
Pesona Bawah Laut Dan Puncak Pulau Gunung Api Banda Yang Wajib Masuk
Ditemukan Gunung Raksasa Sumatra Diameter 50 Km Tinggi 4 6 Km
Kanjeng Wijoyo Ada Gunung Api Di Bawah Laut Selatan Warta Hukum
Badan Geologi Teliti Temuan Gunung Raksasa Di Laut Sumatra
Video Gunung Meletus Di Bawah Laut Terdahsyat Di Dunia Kejadian
Mengintip Fenomena Unik Di Bawah Laut Gunung Anak Krakatau
Tak Hanya Anak Krakatau 4 Gunung Ini Berada Di Tengah Perairan
Fakta Gunung Api Di Papua Nugini Yang Tiba Tiba Meletus
Daftar Gunung Di Indonesia Dan Dunia Hingga Penemuan Gunung Api
Ditemukan Gunung Di Bawah Laut Bengkulu Viva
Kubah Lava Sepanjang 6 Batu Berhampiran Dasar Laut Jepun Ditemui
Fenomena Ledakan Di Bawah Laut Sebabkan Lubang Di Siau Kompas Com
Gunung Berapi Agung Ancam Bali Luar Negara Utusan Online
Menyelam Dekat Gunung Api Bawah Laut Travelon By Wego Indonesia
Wisata Bawah Laut Dunia Wisata Laut Di Sulawesi Utara Indonesia
Gunung Api Bawah Laut Di Perairan Sangihe Talaud Youtube
Gunung Api Bawah Laut Gunung Mahangetang Go Celebes
Geologi Esdm Perlu Teliti Temuan Gunung Api Raksasa Bawah Laut Sumatera
Gunung Berapi Dan Laut Di Bawah Langit Biru Gambar Unduh Gratis Imej
Berita Terbaru Tentang Gunung Bawah Laut Meletus Di Medan Sumatera Utara
Lipi Gunung Bawah Laut Bengkulu Tidak Akan Meletus Lembaga Ilmu
Gunung Berapi Bawah Laut Mungkinkah Ada Api Di Dalam Lautan
Tsunami Selat Sunda Gimana Kondisi Bawah Laut Anak Gunung Krakatau
Selain Gunung Agung Gunung Berapi Mana Lagi Yang Harus Diwaspadai
7 Gunung Merapi Bawah Laut Tertinggi Di Dunia Lagioke
7 Gunung Berapi Bawah Laut Tertinggi Di Dunia Entah Apa Yang
Fenomena Api Muncul Dari Dasar Lautan Ini Penjelasannya Okezone
Gunung Api Raksasa Penghuni Dasar Laut Di Indonesia Hitekno Com
Letusan Gunung Berapi Bawah Laut Terjadi Begini Penampakannya
Selain Anak Krakatau Inilah 6 Gunung Berapi Paling Aktif Di Indonesia
Ichachak Gunung Api Bawah Laut
